Cockroach Control in Houston, TX

Professional Roach Control in Houston

At All Creatures Pest Control, our roach control services in Houston are focused on eliminating the source of the infestation, not just the roaches you see. Roaches hide in tight spaces, reproduce quickly, and spread into multiple areas of the home if they’re not treated properly. That’s why surface sprays or store-bought treatments usually don’t solve the problem long-term.

We inspect the home, identify the type of roach, and treat the areas where they’re actually living and breeding. This includes cracks, crevices, and high-activity zones like kitchens, bathrooms, and utility areas. The goal is to get the infestation under control and stop it from continuing to spread.

If you’re seeing roaches in your home, it’s usually an active issue that needs to be addressed quickly. Call us at (281) 608-8657 or submit a contact form for a free roach control estimate near Houston.

Feedback from Our Customers

Signs You Have a Roach Infestation

Roaches follow food, moisture, and shelter, so most signs show up in kitchens, bathrooms, and hidden areas.

Here are the most common signs of a roach infestation:

  • Seeing roaches at night when you turn on the lights, especially in kitchens or bathrooms
  • Seeing roaches during the day (this usually means the infestation is more established)
  • Small, dark droppings that look like pepper or coffee grounds in cabinets or drawers
  • Egg casings (oval-shaped, brown) in hidden areas like behind appliances or under sinks
  • A musty or oily odor in enclosed spaces like cabinets or pantries
  • Roaches scattering quickly when disturbed

One thing to keep in mind is that roaches don’t usually stay out in the open. If you’re seeing them regularly, especially during the day, there are typically more hiding in walls, behind appliances, or inside cabinets.

If you’re noticing these signs, it’s better to confirm it early before it turns into a larger infestation. Call us at (281) 608-8657 or submit a contact form for a free roach control estimate near Houston.

Why DIY Roach Control is Ineffective

Roaches are one of the most difficult pests to eliminate once they get established. They’re built to survive, and that’s what makes them so frustrating for homeowners to deal with. Roaches reproduce quickly and stay hidden. A single female can produce dozens at a time, and most of the infestation lives behind walls, under appliances, and inside cabinets where you can’t see it. 

This is where DIY roach control usually falls short:

  • Store-bought sprays only kill the roaches you see
  • Baits are often placed incorrectly or not where roaches are nesting
  • Hidden populations continue to grow behind walls and appliances
  • The problem comes back within days or weeks

Professional roach control focuses on the source of the infestation. If you’re dealing with roaches that keep coming back, call us at (281) 608-8657 or submit a contact form for a free roach control estimate near Houston.

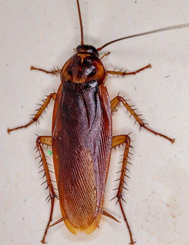
Types of Roaches We Treat in Houston

Here are the most common roaches we see in Houston homes:

  • German cockroaches
    Small, fast-moving, and usually found in kitchens and bathrooms. These are the most common indoor infestation and spread quickly.
  • American cockroaches
    Larger roaches often found in garages, drains, or around moisture. Sometimes called “water bugs.”
  • Smokybrown cockroaches
    Typically found outside but will come inside, especially in warmer months.
  • Oriental cockroaches
    Dark-colored roaches that prefer damp areas like crawlspaces and basements.

Each type behaves differently, which is why proper identification is important before treatment. Call us at (281) 608-8657 or submit a contact form for a free roach control estimate near Houston.

Our Roach Control Process

Homeowners in Kingwood, TX, should consider professional roach control services due to the significant health risks and potential damage these pests can cause. Cockroaches are known carriers of various pathogens, including bacteria like Salmonella and E. coli, which can lead to food poisoning and other illnesses. They can also trigger allergies and asthma attacks, particularly in children, due to the allergens present in their droppings, saliva, and shed skin. Additionally, roaches can cause damage to property by chewing through materials such as paper, fabric, and even electrical wiring, potentially leading to costly repairs. Effective roach control is essential to maintain a healthy and safe home environment.

Frequently Asked Questions About Roach Control

What types of roaches are common in Houston, TX?

There are several types of roaches commonly found in Houston including the American cockroach, German cockroach, and Oriental cockroach.

How can I tell if I have a roach infestation?

Signs of a roach infestation include seeing live roaches, finding droppings, noticing a musty odor, and discovering egg cases or shed skins.

What health risks do roaches pose?

Roaches can spread bacteria, contaminate food, and trigger allergies and asthma, especially in children and sensitive individuals.

How does All Creatures Pest Control treat roach infestations?

We use a combination of baiting, insecticide application, and exclusion techniques to effectively eliminate roach infestations and prevent future occurrences.

How long does it take to get rid of a roach infestation?

The time required to eliminate a roach infestation varies depending on the severity, but most infestations can be controlled within a few weeks with professional treatment.

Are the treatments safe for my family and pets?

Yes, our treatments are designed to be safe for both your family and pets when used according to the label instructions.

Can I prevent roaches from returning after treatment?

Yes, maintaining cleanliness, sealing entry points, and reducing moisture can help prevent roaches from returning after treatment.

Do you offer any guarantees for your roach control services?

Yes, we offer a satisfaction guarantee for our roach control services. If roaches return within a specified period, we will re-treat your home at no additional cost.

How often should I have my home treated for roaches?

Regular inspections and treatments every few months can help keep your home roach-free and prevent future infestations.

Our Service Area

Our Pest & Wildlife Service Area

All Creatures Pest Control proudly provides animal removal services throughout the Houston metro area, including:

If you live near Houston and suspect a wildlfie or pest problem call us at (281) 608-8657 for a free inspection. Not sure if you're in our service area? This list is not all inclusive, please call for more information.